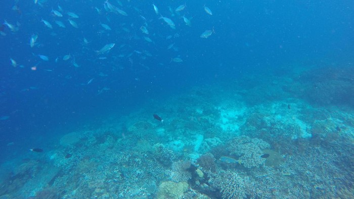
Traveler yang datang akan dijamin mendapat pengalaman luar biasa. Namun di balik itu, ada kisah sedih tentang karang-karang lautnya.
Destinasi snorkeling yang dibahas adalah perairan di sekitar Pulau Kri. Pulau yang beberapa waktu lalu sempat heboh karena karangnya rusak oleh kapal pesiar Caledonian Sky asal Inggris.
SCROLL TO CONTINUE WITH CONTENT
Karang-karang memutih dan hanya sedikit yang tersisa. Ikan nemo dan teman-temannya seolah-olah memberitahukannya kepada kami.
Seorang aktivis yang sekarang beralih menjadi guide lokal, Husein Kelderak (39) menceritakan perihal ilegal fishing yang cenderung merusak. Walau asli Maluku, pria yang sudah 20 tahun tinggal di Raja Ampat ini tak kenal lelah mengedukasi warga setempat.
"Awal mulanya saya jadi aktivis lingkungan. Sampai tahun 2013 jadi karyawan lepas dan kemudian merangkap jadi guide," kata Husein beberapa waktu lalu di Pantai Waiwo, Raja Ampat.
Raja Ampat kata dia pernah mengalami masa kelam. Masyarakat yang pendidikannya rendah dibodohi oleh orang asing untuk melakukan illegal fishing.
"Dulu sekitar 20 tahun yang lalu, warga di sini mencari ikan pakai pukat harimau. Hampir di seluruh perairan Raja Ampat. Itu sangat meresahkan karena akibatnya merusak karang-karang," jelas Husein.
Kini, salah satu destinasi wisata Indonesia itu berbenah. Diperlukan dukungan penuh pemerintah untuk menjaga keberlangsungan Raja Ampat agar bisa dinikmati sampai pada anak cucunya.
"Saya mengakui bahwa pada dulunya masyarakat terlena dengan uang yang mudah dan hasil laut dikeruk. Tapi tidak memikirkan masa depannya. Kini, kami telah sadar dan ingin mengembangkan pariwisata sebagai andalan ekonomi, dengan contoh memasak masakan lokal untuk wisatawan yang datang," urai Husein.
Untuk lebih lengkapnya simak video berikut ya:
(msl/krn)












































Komentar Terbanyak
KGPH Mangkubumi Bantah Khianati Saudara di Suksesi Keraton Solo
PB XIV Purbaya Hadiahi Kenaikan Gelar buat Pendukungnya, Tedjowulan Merespons
Keraton Solo Memanas! Mangkubumi Dinobatkan Jadi PB XIV